Skip To Content

Lots 14-16 Windflower Street

Defuniak Springs, FL 32433
  • $44,900
  • STATUS: Pending
  • ON SITE: 51 Days
  • MLS #: 986322
Pending
$44,900
  • 0
    BEDS
  • 0.61
    ACRES
  • 0
    BATHS
  • 0
    1/2 BATHS
Neighborhood:
Type:
Vacant Land / Lots
County:

School Information

Elementary School:
Middle School:
High School:

Description

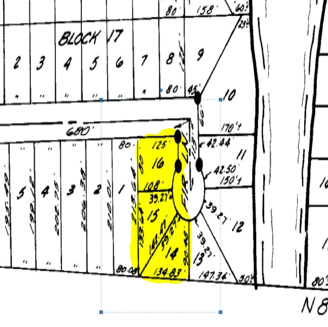
Invest in DeFuniak Springs! This 0.614-acre property consists of three combined lots (14, 15 & 16, Block 17, Oakwood Hills Unit III) and offers a rare opportunity to build in a peaceful, well-connected area just minutes from historic downtown DeFuniak Springs. The wooded setting provides privacy, water views nearby, and easy access to US-331 and I-10 for convenience to shopping, dining, and local amenities. Enjoy the flexibility of no HOA and minimal restrictions, with the option to build or place a mobile home. The property is located on a paved road almost all the way to the site, and essential utilities are nearby: city water available (tap fee due), power at the road, and septic required. According to Walton GIS mapping, the property lies in Flood Zone X and does not appear to contain wetlands. Property Highlights: 0.614 acres (three adjoining lots) Paved road almost all the way to the property No HOA & minimal restrictions Mobile homes allowed City water available Power at the road; septic required Flood Zone X - outside special flood hazard area Walton GIS shows no wetlands Peaceful wooded setting, water view. Minutes to historic downtown DeFuniak Springs, US-331, and I-10 Bring your plans and make this versatile property your own today!

Monthly Payment Calculator



© 2025 Emerald Coast Association of Realtors MLS. All rights reserved. IDX information is provided exclusively for consumers' personal, non-commercial use and may not be used for any purpose other than to identify prospective properties consumers may be interested in purchasing. Information is deemed reliable but is not guaranteed accurate by the MLS or Somers & Company. Vendor Member number: 28178. Data last updated: 2025-11-18T00:00:26.383.
Vendor Member #28178.
www.somerscompany.com/homes/168313076
Print Image

Lots 14-16 Windflower Street Defuniak Springs, FL 32433

  • Price: $44,900
  • Status: Pending
  • On Site: 51 Days
  • MLS #: 986322
0
Beds
0
Baths
0
½ Baths
0.61
Acres
Neighborhood:
Oakwood Hills Unit 3
County:
Walton
Area:
North Walton County
Elementary School:
Maude Saunders
Middle School:
Walton
High School:
Walton
Property Description
Invest in DeFuniak Springs! This 0.614-acre property consists of three combined lots (14, 15 & 16, Block 17, Oakwood Hills Unit III) and offers a rare opportunity to build in a peaceful, well-connected area just minutes from historic downtown DeFuniak Springs. The wooded setting provides privacy, water views nearby, and easy access to US-331 and I-10 for convenience to shopping, dining, and local amenities. Enjoy the flexibility of no HOA and minimal restrictions, with the option to build or place a mobile home. The property is located on a paved road almost all the way to the site, and essential utilities are nearby: city water available (tap fee due), power at the road, and septic required. According to Walton GIS mapping, the property lies in Flood Zone X and does not appear to contain wetlands. Property Highlights: 0.614 acres (three adjoining lots) Paved road almost all the way to the property No HOA & minimal restrictions Mobile homes allowed City water available Power at the road; septic required Flood Zone X - outside special flood hazard area Walton GIS shows no wetlands Peaceful wooded setting, water view. Minutes to historic downtown DeFuniak Springs, US-331, and I-10 Bring your plans and make this versatile property your own today!
Exterior Features

Construction Materials [] Lot Features Cul-De-SacLevelWooded Lot Size Dimensions 116 x 212 x 152 x 224 Road Frontage Type [] Road Surface Type Paved Road View [] Waterfront Features []

Property Features

Association Fee Includes [] Buyer Financing Conventional Community Features [] Property Sub Type Vacant Land Special Listing Conditions [] Tax Amount 203.04 Tax Year 2024 Utilities Public WaterTap Fee Due

Listing courtesy of Coldwell Banker Realty: 850-650-4563.


© 2025 Emerald Coast Association of Realtors MLS. All rights reserved. IDX information is provided exclusively for consumers' personal, non-commercial use and may not be used for any purpose other than to identify prospective properties consumers may be interested in purchasing. Information is deemed reliable but is not guaranteed accurate by the MLS or Somers & Company. Vendor Member number: 28178. Data last updated: 2025-11-18T00:00:26.383.
Vendor Member #28178.
 
https://bt-photos.global.ssl.fastly.net/emerald/1280_boomver_1_986322-2.jpg https://bt-photos.global.ssl.fastly.net/emerald/1280_boomver_1_986322-2.jpg https://bt-photos.global.ssl.fastly.net/emerald/1280_boomver_1_986322-2.jpg
Logo
Somers & Company
,